当メディアのリンクにはアフィリエイト広告が含まれています
メニュー
閉じる
カテゴリ
話題のネタ
話題のネタ
おもしろ画像
衝撃動画(Vine・YouTube)
おもしろ動画(Vine・YouTube)
サブメニューを閉じる
ミュージック
雑記
メニュー
カテゴリ一覧
お問い合わせ
広告掲載について
検索
ゴリミーブログ
2013年
11月
8日
2013年11月8日に書かれた記事一覧
【追記:フェイクニュース】生まれた女の子が「酷く醜かった」と離婚した妻を訴えた男性が訴訟で勝訴
2013.11.08
態度で見る、血液型別の勉強方法が秀逸だと話題に!
2013.11.08
近未来アカペラグループ「Pentatonix」の最新作「Daft Punk」カバーメドレーの完成度が圧倒的に高い!
2013.11.08
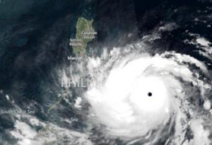
台風30号は2013年最強!最大瞬間風速90m/sでフィリピンに接近中
2013.11.08
1
閉じる
検索